Bauplatz ohne Bau Zwang mit super Fernsicht Gem. Traitsching. Auch mit Tiny Häusern bebaubar. (Provisionsfrei)
Bauplatz ohne Bau Zwang mit super Fernsicht Gem. Traitsching. Auch mit Tiny Häusern bebaubar. (Provisionsfrei)
Immobilien kaufen
Projektinformation
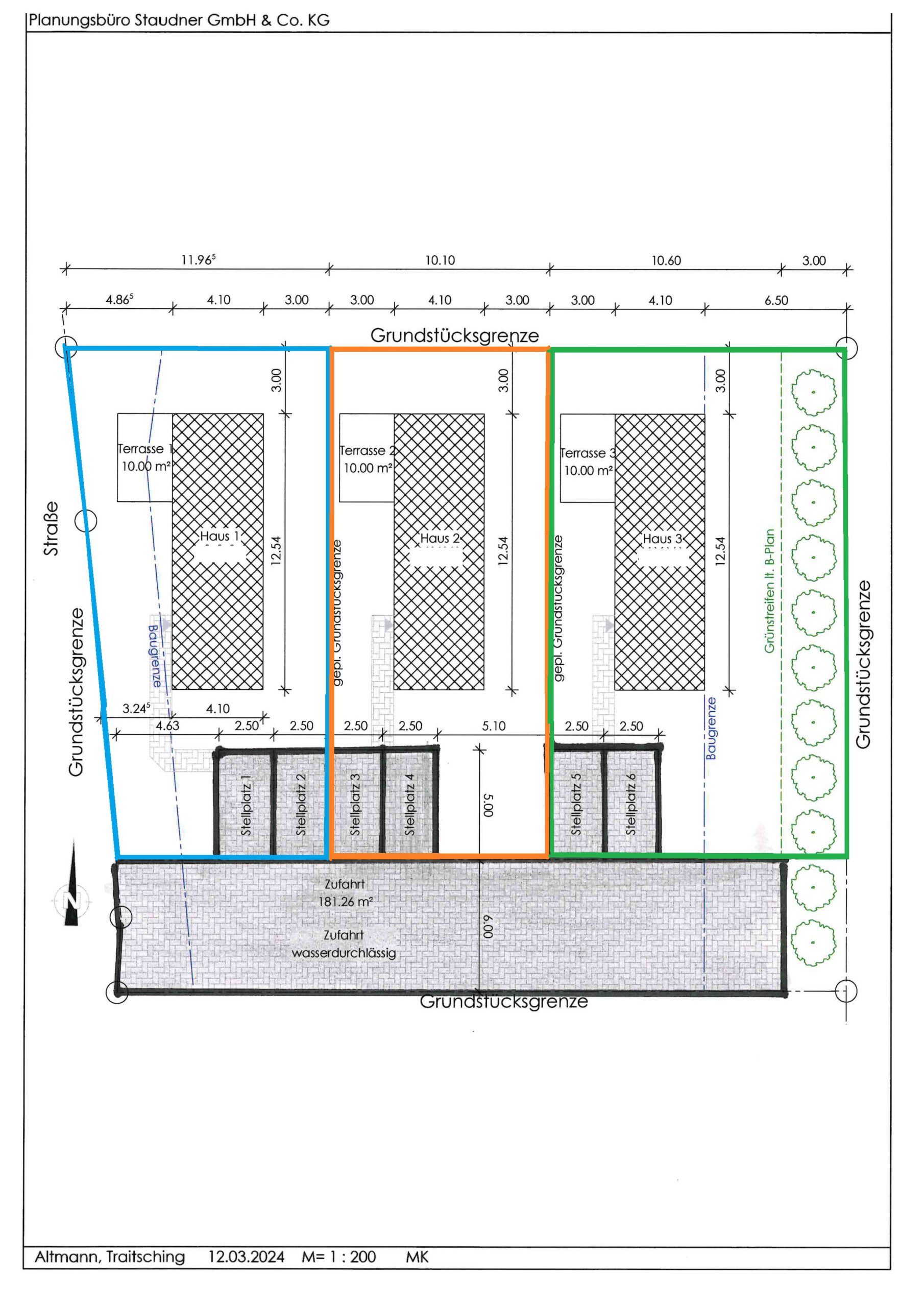
Objekt: Bauplatz voll erschlossen.
Objektort: 93455 Traitsching/Obergoßzell, Hochleiten
Größe: 999 m²
Wunderschöner Bauplatz mit super Fernsicht, leichte Süd.- Westhanglage ohne Bau
Zwang.
Das Grundstück kann mit einem Wohnhaus oder mit 3 Tiny Häusern bebaut werden. Eine
Genehmigung liegt bereits vor.
Preis: 135.000,- Euro Provision: keine Provision
Kontakt
Weitere Projekte
Neubau Wohnanlage mit 6 Einheiten in Cham Janahof
Objekt: Wohnanlage mit 6 Einheiten und 5 Garagen. Objektort: 93413 Cham, [...]
Leerstehendes 6 Familien Haus und Gewerbehalle direkt in Straubing (provisionsfrei)
Objekt: Mehrfamilienhaus mit Gewerbehalle. Objektort: 94315 Straubing Kurzübersicht: Baujahr: Mehrfamilienhaus 1957, [...]
Bauplatz ohne Bau Zwang mit super Fernsicht Gem. Traitsching. Auch mit Tiny Häusern bebaubar. (Provisionsfrei)
Objekt: Bauplatz voll erschlossen. Objektort: 93455 Traitsching/Obergoßzell, Hochleiten Größe: 999 m² [...]
Wohnhaus inkl. Bauplatz zw. Cham und Furth im Wald, gegen Höchstgebot
Objekt: Wohnhaus mit Garage. Objektort: 93495 Weiding Kurzübersicht: Baujahr: 1965, modernisiert: [...]
Wunderschönes gepflegtes Wohnhaus mit zusätzlichem Bauplatz bei Cham
Objekt: Wohnhaus mit Garage und Bauplatz Objektort: 93497 Willmering Kurzübersicht: Baujahr: [...]
Neubau (KfW 55) Wohnanlage mit 28 Einheiten in Best Lage von Schwarzenfeld
Objekt: Wohnanlage mit 28 Einheiten und Tiefgarage. Objektort: 92521 Schwarzenfeld, Amberger [...]
1-2 Fam. Haus gepflegt zw. Cham und Bad Kötzting
Objekt: Wohnhaus mit Garage. Objektort: 93468 Miltach Kurzübersicht: Baujahr: 1980, modernisiert: [...]
Pension mit 19 Appartement teilrenoviert vielseitig nutzbar
Objekt: Pension teilrenoviert Objektort: 93437 Furth im Wald Kurzübersicht: Baujahr: nicht [...]
Gepflegtes Wohnhaus mit 2 Wohneinheiten und großen Garten
Objekt: Wohnhaus mit Garagen. Objektort: 94419 Reisbach – Oberhausen, Kurzübersicht: Baujahr: [...]
Pension/Gasthof mit 35 Appartement und Betreiberwohnung vielseitig nutzbar
Exposee (Sachbearbeiter: Herr Sauer 0171-8383983) Pension/Gasthof mit 35 Appartement und Betreiberwohnung [...]










